
In Shenzhen, China, authorities told 400,000 people they needed to leave their homes before Super Typhoon Ragasa arrived, making it one of China’s largest evacuations recently.
They opened emergency shelters across Guangdong province as the storm approached on Tuesday. The winds were up to about 167 mph, the fastest on Earth this year. Forecasters warned that storm surges could be more than three meters high, threatening anyone living by the sea.
Local officials quickly moved people from flood zones and coastal regions to safety, marking a significant emergency response for one of China’s biggest cities and surrounding areas.
A Storm Nears Earth’s Power Limit

Ragasa’s winds were so strong that meteorologists said they were reaching the limits of Earth’s atmosphere for tropical storms.
MIT scientists say the strongest possible hurricane or typhoon on Earth is about 200 mph, and Ragasa wasn’t far from that, with sustained winds at 167 mph and gusts near 183 mph.
The storm’s central air pressure dropped to 905 hectopascals, a clear sign of a robust system.
As it moved over the South China Sea, weather experts kept warning that Ragasa could remain extremely dangerous as it headed straight for the coasts of southern China and Hong Kong.
A Deadly Path

When Ragasa first hit the Philippines, three people died, a minimal number compared to tragedies in the past, but still devastating for those directly affected.
The storm caused power outages, downed trees, and forced thousands into evacuation centers. In the past, the world has seen far worse: the 1970 Bhola cyclone killed hundreds of thousands, and Typhoon Haiyan killed over 6,300 people in the Philippines in 2013.
Even though Ragasa’s wind speeds were record-breaking, early evacuations and strong warnings helped prevent mass casualties this time.
Yet, every life lost is a tragedy, and many families have had their homes destroyed or lost all their possessions.
Life on the Islands

Some of Ragasa’s most powerful winds battered Panuitan Island in the Babuyan archipelago of the northern Philippines.
There, wind gusts reached183 mph. Residents inside the evacuation centers said the entire building shook. One person was slightly hurt when part of a school roof was ripped off and blown into the shelter.
Power was knocked out completely, phone lines went down, and coconut trees snapped in half.
For about 20,000 people living on these isolated islands, it was a terrifying experience, made worse by the total lack of news or communication with the outside world.
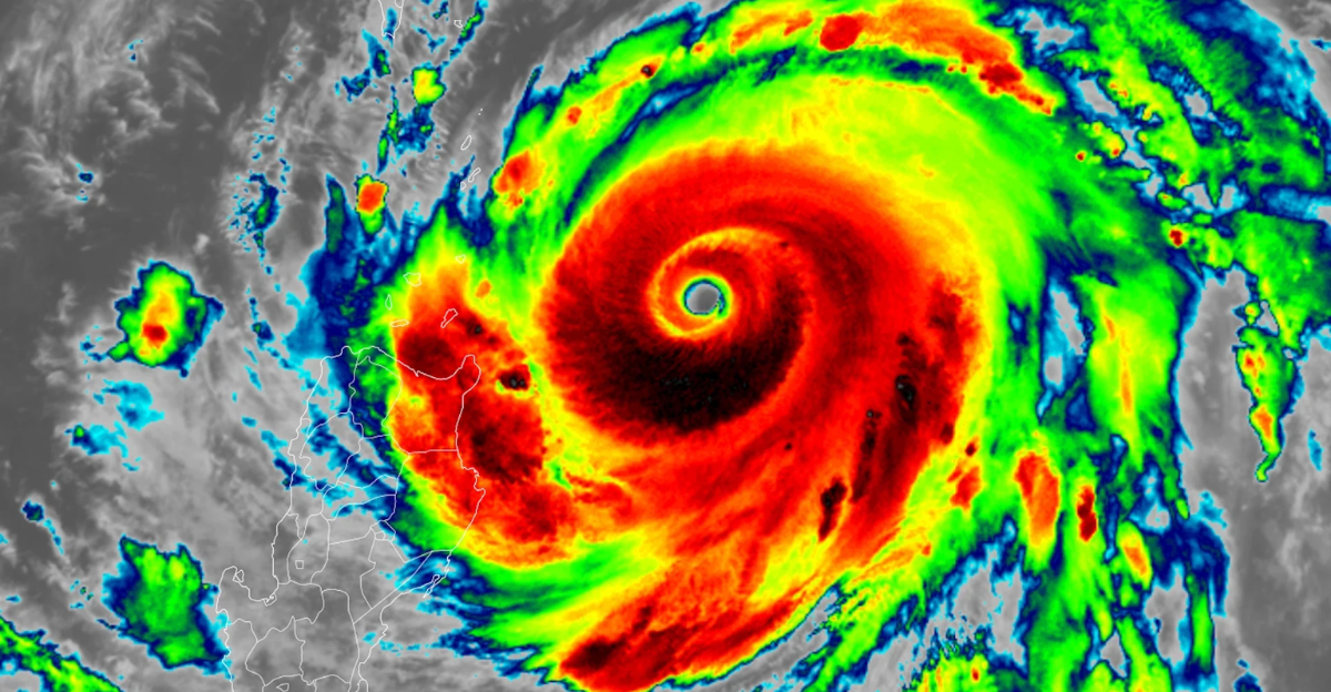
Ragasa’s Rapid Rise

Ragasa exploded from a tropical depression into the year’s most powerful storm in only a few days.
Meteorologists called this rapid change “extraordinary,” with the storm’s winds quickly jumping to Category 5 typhoon strength, the top of the scale for tropical cyclones.
Special ocean buoys recorded a central pressure of 900.3 millibars, showing Ragasa’s intensity. The giant storm displayed a perfect circle of clouds at its center and had a big eye nearly 47 miles wide, signs of a classic super typhoon.
Satellite images showed the storm covering vast stretches of ocean, with temperatures at its peak far below freezing at cloud tops.
Evacuating and Sheltering for Safety

More than 10,000 people on northern Luzon, the Philippines’ largest island, moved into schools and shelters to escape Ragasa.
Many families packed only the essentials, following government orders to leave before the typhoon hit. The President suspended classes and businesses in Manila and more than 29 provinces.
Disaster response teams showed scenes of families huddled together in shelters, bracing for howling winds and torrential rain.
Hospitals in the region prepared for possible rescues and medical emergencies, ensuring they had enough staff and supplies for whatever the storm brought.
Economic Shutdown: Air, Land, and Sea

In Hong Kong, the international airport shut down all flights for a day and a half, a record closure for one of the busiest airports in the world.
Cathay Pacific, the leading airline, had to cancel over 500 flights, stranding passengers across its entire global network.
The city also closed schools, government offices, and even Disneyland. Grocery store shelves were emptied as residents prepared to hunker down.
In neighboring Macau, casinos stopped all business. This widespread shutdown showed how much economic life can stop when a significant storm threatens millions of people in a financial hub.
Why Such Strong Storms?

Warming oceans are feeding stronger super typhoons like Ragasa. Scientists say the Pacific waters this year were warmer than usual due to natural climate patterns and human-driven global warming.
These warmer seas make it easier for typhoons to proliferate and reach higher peak winds, a trend seen across recent decades.
Some studies found that since the late 1970s, the most intense storms in this region have become about 12–15% stronger, and the number of severe cyclones in the area has more than doubled.
Climate experts warn that this is not just a fluke: as the world warms, these storms may become more common and dangerous.
How Powerful Can Storms Get?

MIT professor Kerry Emanuel has studied how these storms work. His models show a physical “speed limit” for hurricanes and typhoons, controlled by sea temperatures and atmospheric conditions.
That current limit is about 200 mph, steady winds. Ragasa, with 167 mph winds, was getting close to that.
If the world continues to warm, Emanuel’s models predict even higher maximum speeds in the coming decades, meaning storms near Ragasa’s strength could happen more often, reaching a new normal as climate change continues.
Not Just A Quick Blast

Many of the most powerful storms in history only stay that strong for a few hours before weakening. Ragasa was different. It remained at near-record intensity for more than 12 hours as it traveled over warm ocean water.
This wasn’t just a fluke: Forecasters say it’s a sign that our climate can support these monster storms, allowing them to last longer and spread their destructive power over larger areas.
Unlike past storms, which lost energy quickly, Ragasa proved that today’s typhoons might be stronger for longer, giving communities less time to prepare or recover.
Tremendous Government Response in China

Faced with such a threat, Chinese authorities activated their highest emergency plans.
Railways stopped, schools closed across Guangdong province and other southern cities, and hundreds of thousands were told to get to safety.
In Shenzhen alone, 400,000 people were moved from risky areas, especially in neighborhoods near rivers or the sea. City officials stressed the importance of saving lives first, ordering shops, offices, and even factories to shut down until Ragasa passed and conditions returned to normal.
Rapid, wide-scale action is rare and shows how seriously local governments took the potential impact.
Damage to Roads, Power, and Communication

Ragasa knocked out power in many places, especially on islands and the mountain regions of the Philippines.
Planes stopped flying, ferries were docked, and buses and trains did not run in or out of many towns because the weather was too dangerous.
Rainstorms reached as far as Manila, 500 kilometers from the typhoon’s center. In some areas, all phone and internet connections were lost, making it impossible for emergency workers to check on communities or coordinate rescues.
This massive infrastructure breakdown is typical after powerful storms, making recovery much slower.
Neighboring Countries Take Precautions

Taiwan evacuated hundreds from possible landslide zones and shut down flights, even though Ragasa’s center was far away. Heavy rain still hit the coasts.
Vietnam put emergency teams on standby along its coastline, preparing for whatever winds and rains might reach there as the storm moved west.
With such a massive and powerful storm, Southeast Asian countries had to act, even if the worst missed them.
Pearl River Delta in the Crosshairs

Forecast models predicted Ragasa would next hit Pearl River Delta, a densely packed area housing more than 70 million people and home to factories that build much of the world’s electronics.
If the storm landed near Shenzhen and Huizhou, it could have interrupted global supply chains, closed airports, halted cargo ships, and significantly damaged roads, bridges, and skyscrapers.
Hong Kong meteorologists warned people to expect scenes similar to past historic storms, when glass was blown out of tall buildings and some neighborhoods were flooded for days.
Storms, Climate Change, and the Century Ahead

Climate experts warn that storms like Ragasa will be more frequent, stronger, and unpredictable as the world grows.
The latest research says that with just 2°C more global warming, we could see roughly 13% more Category 4 and 5 storms. These storms will bring more rain, which will mean more floods or landslides.
Ragasa’s peak strength came so fast and lasted so long, which is evidence of these climate trends and why researchers urge governments to plan for much more dangerous typhoon seasons in the future.
Analyzing and Learning from Ragasa

Scientists at MIT and the World Weather Attribution project are analyzing satellite data and on-the-ground reports to understand why Ragasa quickly blew up into a monster storm and stayed that strong so long.
This new research will help update disaster plans and storm warnings and even adjust climate models to better predict and prepare for future super typhoons.
More studies on Ragasa’s rapid intensification may help save lives during the next extreme storm.
Global Economic Impact

The industries and shipping lanes of southern China are closely connected to the rest of the world.
Because so many electronics, auto parts, and household goods are built in places like Shenzhen, any shutdown or damage can lead to shortages or delivery delays for businesses everywhere.
Ragasa’s storm surge and wind damage shut down ports and factories, affecting companies worldwide.
Insurance experts say the costs could be in the billions, especially in crowded cities where businesses and homes are packed together and expensive to repair.
Social Media and the Public’s View

As Ragasa approached, videos of the storm’s huge waves and bending trees went viral online.
In China, emergency teams used social media apps like WeChat to update residents and coordinate the evacuation.
At the same time, rumors and misinformation spread, with some posts exaggerating the winds or claiming records were broken.
Weather forecasters quickly corrected false reports, emphasizing that while Ragasa was near the upper limit of what Earth’s atmosphere allows, it did not actually break the records.
Typhoons in History

Meteorologists compared Ragasa to history’s most powerful storms, such as Typhoon Haiyan or Hurricane Patricia, which caused horrific destruction.
Like those infamous storms, Ragasa had a large eye, firm, long-lasting winds, and huge waves, but the loss of life was far less thanks to improved forecasting and pre-storm action.
Scientists say these intense storms occur only once every few years worldwide but may become more common with further climate warming.
Ragasa’s Warning for the Future

Super Typhoon Ragasa is a warning from nature. Even with modern forecasting and emergency evacuations, such powerful storms threaten millions, disrupt economies, and push emergency response systems to their limits.
As climate change continues, events like Ragasa will become more common and intense. This time, adequate preparation saved many lives.
But as these “superstorms” become a new normal, every country facing the Pacific, Atlantic, or Indian Oceans must double down on climate readiness if they hope to weather the monster storms of tomorrow.